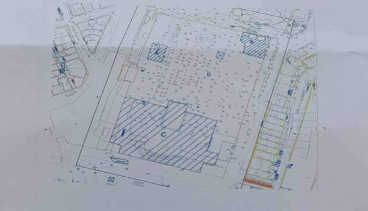
Açıklamada yer alan krokide, ihaleye çıkarılan kısmın “B” harfiyle işaretli 1.100 metrekarelik bölge olduğu, bu alanın dışında kalan parkın tamamının ihaleye konu edilmediği vurgulandı.
Bakanlık, söz konusu alanın Sultan Beyazıt Hanı Veli Hazretleri Vakfı mülkiyetinde olduğunu ve 5737 sayılı Vakıflar Kanunu gereği Vakıflar Genel Müdürlüğü tarafından yönetildiğini bildirdi.
İhaleye çıkarılan alanın yalnızca daha önce Beltur tarafından işletilen kafe kısmını kapsadığına dikkat çekilen açıklamada, “Bu alan dışında Gezi Parkı’nda herhangi bir kiralama veya ticari işletme ihalesi yapılmamıştır” ifadeleri yer aldı.
Kültür ve Turizm Bakanlığı Vekili Av. Zeğnop Berna Bozkurt imzalı resmi belgede, iddiaların gerçeği yansıtmadığı belirtilerek kamuoyuna bilgi notu paylaşıldı.

KONU HAKKINDA EGEPOSTASI'NA GELEN TEKZİP VE DÜZELTME METNİ ŞÖYLE:
“İstanbul’un simgelerinden Gezi Parkı, Vakıflar Genel Müdürlüğü tarafından ‘ticari işletme’ statüsüyle ihaleye çıkarıldı” iddiası gerçeği yansıtmamaktadır.
İstanbul İli, Beyoğlu İlçesi, Gümüşsuyu Mahallesi, 751 ada 2 parsel sayılı 29.552,00 m² yüzölçümlü arsa vasıflı taşınmaz, Sultan Beyazıt Hanı Veli Hazretleri Vakfı adına kayıtlıdır. Sultan Beyazıt Hanı Veli Hazretleri Vakfı, 5737 sayılı Vakıflar Kanunu 6. maddesi hükmü gereğince Vakıflar Genel Müdürlüğü tarafından yönetilmekte ve temsil edilmektedir.
Söz konusu taşınmazın, krokisinde (B) ile işaretli 1100 m²’lik kısmı “Kafe ve Çay Bahçesi” olarak 15.10.2025 ve 16.10.2025 tarihli ihale ilanı ile 2886 sayılı Kanun uyarınca ihaleye çıkarılmıştır.
Söz konusu ilan ve şartnamede de, ihaleye çıkarılan taşınmazın krokisinde, taşınmazın sadece (B) ile işaretli (Özel şartlı) 1100 m²’lik kısmının, “Gezi Parkı Kafe ve Çay Bahçesi” olarak ihaleye çıkarıldığı açıkça belirtildiği halde, söz konusu haber, Gezi Parkı’nın tamamının ihale ile kiraya verildiği yönünde yanlış şekilde yapılmıştır.
İhaleye çıkarılan alan, sadece 1.100 m² olup, önceden İBB tarafından Beltur Kafe olarak işletilen ve Beltur tarafından boşaltılan bölgedir. Vakıflar Genel Müdürlüğü’ne teslim edilen alanda, bu alan dışında ihale çıkarılan bir alan bulunmamaktadır.
Kamuoyunun bilgisine saygıyla sunulur.
Kültür ve Turizm Bakanlığı Vekili
Av. Zeynep Berna Bozkurt